ユッコの歌声分析Part-1
Menu
Top
Why?
New!
CF
Album
Poster
Photo
Scrapbook
Wallpaper
mini concert
telephone
BBS
Link
最近、メディアで歌手の歌声について分析した報告が見受けられます。
歌手にとって大切なのは、音程やリズム感で代表される歌唱力になるわけですが、
それ以外にも「1/fゆらぎ」と「超音波」が重要だそうだ
そこで我らがユッコについてはどうなのか?早速調査してみました。
まず、「1/fゆらぎ」と「超音波」とはなんぞや?となるが、管理人はお手軽が好きなので
ネットで調べてみた。(間違って解釈している場合もあるが、その際は大目に見てください)
「1/fゆらぎ」とは、自然界で起きる現象、例えば「そよ風」や「川のせせらぎ」を
周波数という切り口で分析すると、様々な周波数の重ね合わせで表現できるらしい。
その中に「1/fゆらぎ」が含まれているとのこと。人間が心地よく感じる理由は、
生体リズムと関係が有るらしいが、管理人は専門家ではないので、これ以上は説明不能(笑)
検索エンジンで探してみてください。
具体的に歌声の場合はというと「ビブラート」が当てはまる様だ。
「超音波」については、定義がちょっと不確かであるが、高音成分が歌声に含まれるか否かで
人間は心地よさに差が出るとのことらしい。超音波とは、可聴帯域外の周波数を指すので、
通常は20KHz以上を指すと思うが、この場合どうやら10KHz前後のことらしい。
未調査ではあるが、TVを信用するならユッコの先輩である松田聖子さんにも強く現れるらしい。
さて前置きが長くなったが、これらの事を踏まえてユッコの声紋分析を行ってみた。
まず、「恋人たちのカレンダー」であるが、この曲は後に酒井法子さんにカバーされているので、
比較してみることにした。
恋人たちのカレンダー 分析部分mp3ファイル
左がユッコで右が酒井法子さんです。1番の歌詞「あなたのために髪を変えた」の「髪を変えた」を
比較してみました。
拡大しないと判りにくいと思いますが、「かみぃ〜をかぁえぇ〜た」の「かぁえぇ〜た」で
ユッコの方は特定の周波数に連続した声紋が現れています。なおかつ12KHzという高域まで現れており、
一方、酒井法子さんは全く無いという事になります。
次に、「ロンサム・シーズン」ですが、ユッコ以外にやはり後輩の中島美智代さんと竹内まりやさんも
カバーされております。同様に1番の歌詞の「失った恋」を比較してみました。
ロンサム・シーズン 分析部分mp3ファイル
「うしなぁ〜ったこぃ〜」この部分全般に「超音波」とみられる成分があります。
中島美智代さんと竹内まりやさんには現れていません。
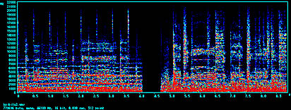
極めつけは「二人だけのセレモニー」で、楽器がメロディを演奏していない歌の終わりの部分から
「目を閉じていい、そして甘いセレモニー」を分析したところ、驚くことに 「セレモニー」の「ニー」と延ばした部分は安定かつ、様々な周波数に連続した声紋が見られます。
二人だけのセレモニー 分析部分mp3ファイル
ユッコの歌声が魅力的な理由が、こんなところに隠されていたとは...
まだ、調査開始したばかりですので不確かな部分も多くありますが、もう少し時間をかけて調べてみます。
メールは「またろう」まで